25 Dover Point RoadDover, NH 03820

Mortgage Calculator
Monthly Payment (Est.)
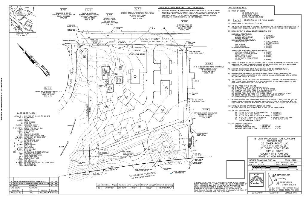
$9,581Incredible development opportunity on nearly 3 acres of prime South Dover land, ideally positioned on Dover Point Road—just minutes from downtown Dover and a short drive to Portsmouth. This TDR-approved site allows for up to 16 residential units across 8 duplex buildings, making it a rare and valuable find in one of the region’s most sought-after locations. Located across from the vibrant Pointe Place, and close to top-rated schools, shopping, dining, and major commuter routes, this property offers unparalleled convenience and desirability. The lot is serviced with town water, sewer, and natural gas at the street. Whether you're a developer ready to move forward with the existing conditional approval or an investor exploring alternative uses such as single-family homes, child care facility or other allowed uses, this property offers flexibility and strong upside potential in a rapidly growing market. Don't miss this opportunity to build in a thriving community with demand for quality housing. Please schedule an appointment prior to walking the property! Broker Interest.
| a month ago | Listing updated with changes from the MLS® | |
| a month ago | Listing first seen on site | 
Copyright 2025, PrimeMLS, Inc. All rights reserved. This information is deemed reliable, but not guaranteed. The data relating to real estate displayed on this display comes in part from the IDX Program of PrimeMLS. The information being provided is for consumers’ personal, noncommercial use and may not be used for any purpose other than to identify prospective properties consumers may be interested in purchasing.
Last checked: 2025-11-04 11:50 AM UTC
					
													
Did you know? You can invite friends and family to your search. They can join your search, rate and discuss listings with you.